《夏威夷大島 Day 2》| 免費浮潛、溶洞探險、黑沙灘、火山步道
夏威夷向來給人「旅遊天堂,但消費不便宜」的印象。
然而在大島的第二天,我卻意外找到免費隱世、比付費景點更誇張的浮潛天堂;同一天還走進千年熔岩洞、黑沙灘、火山國家公園,最後用銀河收尾 —— 是一趟節奏緊湊、充滿驚喜的一日旅程。
這篇文章整理出完整行程、地點、實用貼士與個人心得,希望讓你更輕鬆計劃自己的 Big Island Day 2。✨
📘 內容摘要|快速跳轉
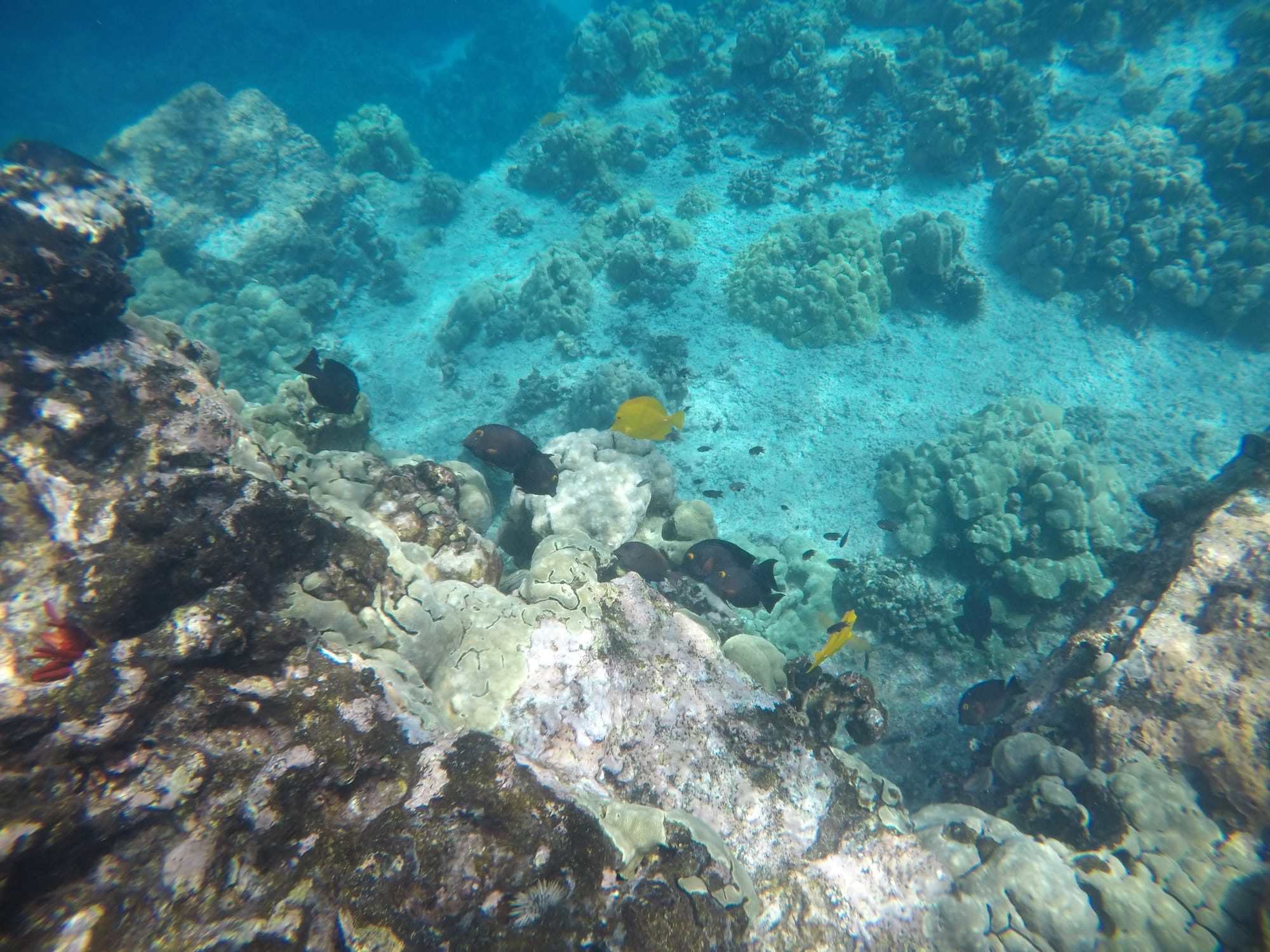
1. Honaunau Bay (Two Step)|免費浮潛天堂
📍 地址:84-5571 Honaunau Beach Rd, Captain Cook, HI 96704, United States
原本只想找個海邊吃早餐,卻在導航誤打誤撞下走進 Two Step —— 一個沒有正式入口、沒有標示牌,但卻是當地人口中的 「隱世浮潛聖地」。
踏上天然的岩石跳入水中,眼前瞬間展開一片湛藍世界:🐠

而且最誇張的是:
👉 你可以直接看到隔壁國家歷史公園Pu'uhonua O Honaunau National Historical Park(原價 US$20–30)範圍內的海岸線,而你完全不用付門票。
🌊 貼士:
這裡雖然天然又漂亮,但配套比較原始:
• 有流動廁所,但沒有淋浴設施,浮完水記得自備毛巾/水清洗
• 建議上午前往,浪較靜、能見度最佳
• 岩石濕滑,建議穿防滑鞋/慢慢走下水
• 浮潛裝備可自帶或於 Kona 租借
• 海龜為受保護生物,請保持 3 米以上距離
2. Honaunau Poke Shop|超看運氣的地道Poke
浮完水肚子餓,我們特地來到這間非常地道的Poke 店。
📍 地址:83-5308 Mamalahoa Hwy B, Captain Cook, HI 96704, United States
老闆的營業哲學只有兩種狀態:「有捕魚 → 開店」 或「無捕魚 → 拉閘」
建議 11 AM 前後到,大多為外帶,賣完即收
3. Kula Kai Caverns|千年熔岩洞(需預約)
📍 地址:92-8864 Lauhala Dr, Ocean View, HI 96704, United States
🕒 行程:約 1 小時
🌐 預約:kulakai.com(需提前預約,沒預約不能入場)
位於大島南端的 Kula Kai Caverns,是屬於 Mauna Loa 火山的一部分,約形成於 1000 年前,被視為地球上最年輕的熔岩洞穴系統之一。
🌋這類熔岩洞(lava tube)是在火山爆發時:
地表先冷卻形成硬殼,熱熔岩在底層繼續流動,熔岩流走後留下了地下通道。
• 必須預約(不能隨便進)
• 洞內涼爽,建議帶薄外套
• 地面不平,請穿包趾運動鞋
• 幾乎沒有難度,非常適合新手家庭


4. Punaluʻu Black Sand Beach|黑沙灘+海龜休息地
📍 地址: Punaluʻu Rd, Naalehu, HI
沿海再往東走,會經過夏威夷最著名的黑沙灘之一 Punaluʻu Black Sand Beach。
黑沙是火山熔岩急速冷卻後碎裂成的玄武岩顆粒,踩起來比普通沙更粗但更扎實。🏝 貼士:
• 請與海龜保持距離,不可觸碰
• 中午光線最好,照片最美
• 沙較粗,建議穿拖鞋



5. Volcanoes National Park|到達火山國家公園
📍 地址:Hawaii Volcanoes National Park
💰 門票:US$30(車輛 7 日通行)/ 買年票US$80

下午正式進入火山國家公園,第一站是必去的 ——
原本以為會很長、很累,
結果竟然幾分鐘就走完,輕鬆好走。
可惜當天 Visitor Center 維修關閉,我國家公園的印章收集計畫失敗了。😢
幸好旁邊的 Volcano Art Center 有營業,裡面有當地藝術品、木雕、畫作,讓我買到喜歡的小紀念品。
🌋 貼士:
• 公園氣溫比市區低,記得帶外套
• Lava Tube 夜間無燈,建議白天走
• 公園很大,至少安排 2–3 小時

6. Volcano House 晚餐+Haʻakulamanu 蒸氣步道
📍 地址:Sulphur Banks Trail, Volcano, HI 96785, United States
吃飽後沿著後方的 Sulphur Banks(蒸氣地熱步道) 散步,沿路地底裂縫會不時噴出蒸氣。那感覺就像大自然給你做免費火山蒸氣 Facial 😆

7. 夜間火山:銀河的意外驚喜 |Devastation Trail
晚上走在Devastation Trail,這是一條可以近距離看到火山爆發的地點,可惜等了兩小時,遠處只有淡淡的紅光,像慢慢滾起的火鍋。無光害的夏威夷大島,一抬頭就看見整遍星空及銀河。
第二天早上起床,火山竟然真的噴發了(下章再說)


下一章:


